だーやまさんののんびりゆるゆるFishing #160【因縁】
皆さまこんにちは!
行橋バイパス店のだーやまです
Q:どうせチニングでしょ?
A:はい。
てことで行ってきました(笑)
最近、ずるずるチーヌとインバイトクローαの組み合わせでめちゃくちゃ釣れておりますが、今回はずるずるチーヌに付けるワームを、なかなか釣果の出ないワームに変えて試してみることに。
それがこちら↓

クレイジーフラッパー。
え、ド定番やんけ!って思った方がほとんどだと思いますが、ワタクシだーやま、実は何度使ってもチヌとキビレが釣れておりません!!
2021年頃から使い始めてかれこれ5年、周りは釣れる釣れると言うもなぜか釣れず。

一応根魚はよく釣れていて、こっちには高実績なのですが、問題はなかなか釣れないチヌとキビレ。
私の中でいつしかチヌとキビレが釣れないワームっていう認識になっていました。
一方で今月はかなり釣れまくっている状態、5年にわたるこの因縁に決着をつけるなら今なのでは?と思っての選択です。 
色は似たようなので合わせようかなと思ってこの組み合わせにしました!
ケイテック クレイジーフラッパー 2インチ 519 エビミソレッドコパー

インバイトクローの時とほぼ同じ、ボトムバンプ(2回しゃくり上げ)からの着底1秒放置で狙っていきます。
すると…

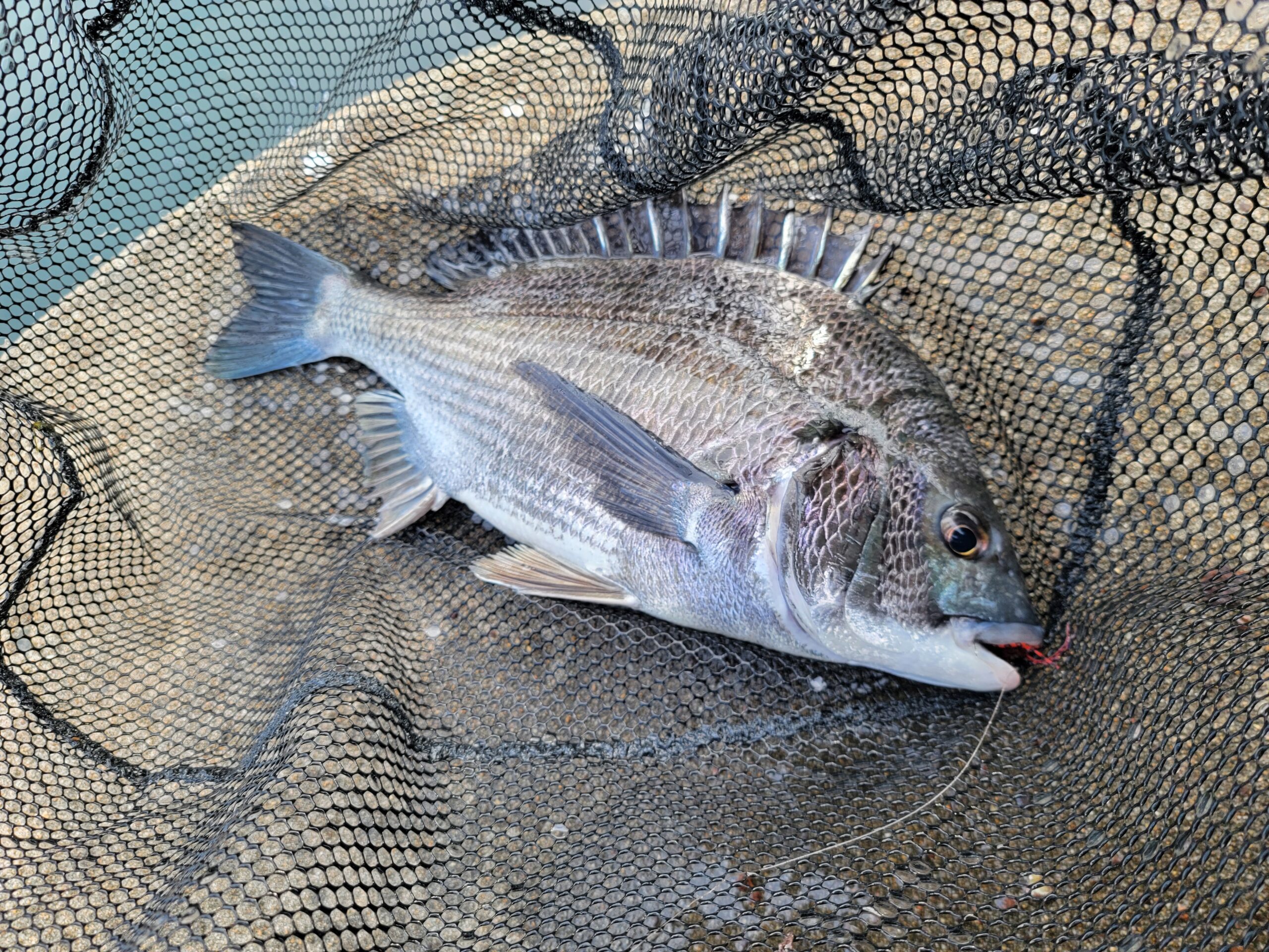
一投一撃。
5年も続いた因縁がこうもあっさり。
その後は…

なんと!

まさかの!!

連発!!!

止まらねぇっ!!

えぐすぎぃぃ!!!

ええとこかかってるぅ!

丸飲みぃぃいい!!
5年も釣れずにいたのが嘘のようにボッコボコ(笑)
重さやカラーは浅いとこや深いとこ、見えチヌかそうでないかで少しずつ変えながらしたのがドハマり!!
ケイテック クレイジーフラッパー 2インチ 519 エビミソレッドコパー
ケイテック クレイジーフラッパー 2インチ 101 グリーンパンプキンペッパー
今までのあれはほんと何だったんでしょうか…
とはいえさすがに反応が悪くなったので、ここでワームをインバイトクローα 1.8インチに変更。
2連発!!
しかし流石に反応が無くなったので移動することに。
またクレイジーフラッパーに戻しての1投目。

またお前かっ!!!
まさかの落ちパク(笑)
ずるずるチーヌが余程好きなのか、最近セイゴがよく当たってくるんです(笑)
ケイテック クレイジーフラッパー 2インチ 101 グリーンパンプキンペッパー

ここでクレイジーフラッパーの色を変更。
ケイテック クレイジーフラッパー 2インチ 532 ジンジャーシュリンプ
この選択が良かったようで…

一撃!!
ケイテック クレイジーフラッパー 2インチ 532 ジンジャーシュリンプ
その後も続くかと思いきや…

うわぁ……

しかもめっちゃええとこかかっとるやんけ。
ちなみに写真は無いもののアカエイはもう1匹釣れてます。
この後はトップウォーターを試してみると3発出たもののヒットさせきれず、結局ここから数を伸ばせず終了。
チヌ3匹、キビレ6匹でギリギリつ抜け(10匹超え)ならず。
とはいえこれまでからっきしだったクレイジーフラッパーでの釣果が光る展開でした!
ケイテック クレイジーフラッパー 2インチ 519 エビミソレッドコパー
ケイテック クレイジーフラッパー 2インチ 101 グリーンパンプキンペッパー
ケイテック クレイジーフラッパー 2インチ 532 ジンジャーシュリンプ
ずるずるチーヌはスナップに付けてワームを刺すだけなので、フリーリグよりも簡単!
これからチニングを始めたいという方にもおすすめです!!
ちなみに、クレイジーフラッパーですが、チニングにおいて高実績ではあるものの、めちゃくちゃ裂けやすいという欠点も。

これを補ってくれるのがインバイトクローα。
これら2つをその時の状況に応じて使い分けることで釣果がより出やすくなります!
皆さまもぜひお試しあれ!
次回もお楽しみに!
〜Tackle Data〜
・Rod
XOOX EGING GR III 86ML エギングロッド
・Line
・Leader
ダイヤフィッシング ジョイナー・ボスメントII 50m 3号 ライトブラウン
ケイテック クレイジーフラッパー 2インチ 519 エビミソレッドコパー
ケイテック クレイジーフラッパー 2インチ 101 グリーンパンプキンペッパー
ケイテック クレイジーフラッパー 2インチ 532 ジンジャーシュリンプ