店舗情報
チヌ狙いでフカセ釣りしたほりこし!!
佐世保店
ほりこし
皆さんこんにちは😆
佐世保店のほりこしです!
今回はフカセ釣りに行ってきました🎣
↓↓↓使った餌はこちら↓↓↓

「チヌグルメ」、「オキアミ」に「
麦」を少々混ぜて~
刺し餌には撒き餌用の
「オキアミ」を使いました!
開始直後から次々と湧き上がってくる
セイゴの猛攻をかわせず苦戦苦戦💦

暫くしてセイゴの群れが
いなくなってから
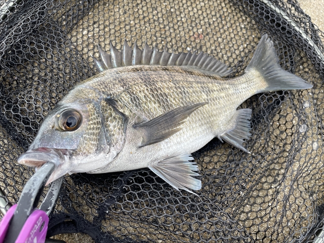
ようやく釣ることができました😆✌



フカセ釣りはウキが
沈む瞬間がたまりませんね~😊
エサ取り対策はまだまだですが、
狙ってチヌが釣れるようになったので
次はクロを狙ってみたいと思います💪
それではまた行ってきま~す🚗💨💨

一覧に戻る