まっち出撃~IGマリンで寒グレ編~
HP・アプリをご覧の皆様こんにちは!
Point山口店のまっちです😙
ようやく行けた初釣り!
大分県は津久見の磯釣りです😄
渡船はもちろん
猪熊博之船長の
「IGマリン」
ドキドキしながら乗船ですね。
広い船内も快適そのもの😆
風の強い日でしたが、
猪熊船長の配慮で風を避けれる磯へ。
今回、一緒に磯に上がったのは石田代行。
朝イチはマキエを撒いて海をしっかり観察。
数匹のフグ。
そしてたまに巨大なカンダイが磯際をウロウロ。
気にせず足元から釣っていきます。
・・・
・・・
・・・
瀬際を30分やりましたが、
デカいフグは良く釣れます!笑
竿2本先をやると、
たまにフグ。
たまにツケエが戻ってくる!
そうそう!
IGマリンと言えばこのウキでしょ!
釣研)
エイジア アスターピース アブトラ
の、013😉
で仕掛け全体を軽く軽く、
ハリはがまかつの掛かりすぎ口太の4号
でじわりじわり馴染ませて、
で、
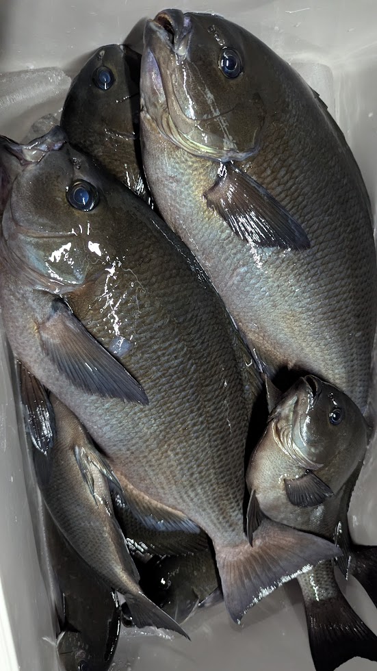
たまに30アップの口太!
そこから5m~6mのタナだけを集中して流し~
良型の口太😊
お昼前には、
潮が弱まってきて、
アタリも遠のきましたが、
ハリを更に更に軽い、
がまかつ)ファイングレの4号に変更。
潮受けウキゴムが海中でちょろりと動いて、
ぴしっとアワセて、
ドラグジリジリ。
スリル満点ですが、
無事ネットイン😅
40アップ口太😆
午後からは、
喰いがやっぱり落ちてきて、
最後まで粘りましたが、無事納竿。
結果。
時化のたび出船中止で、
なんかい休日の磯釣り釣行が延期になった事か笑
2月に入りやっと、
テクニカルな寒グレをようやく楽しめました😆
それも、
風の強い中、
ベストチョイスな瀬に案内して頂いた、
猪熊船長のおかげです😄(最後にパシャリ!)
まだまだ寒グレのシーズンは続きます!
今年もG杯チヌもエントリー中!
(まずは抽選結果次第ですが笑)
冬はやっぱり磯釣りが楽しいです😉
ポイント山口小郡店でも、
磯釣りファンの皆様のご来店、
心よりお待ちしています😆














