店舗情報
くろぶちがいく! 佐多岬沖磯 飛ばされまくり・・・
皆さま、こんにちは
渓流からの帰還。
佐多岬沖磯のお時間です😂
今回は良型に飛ばされまくった・・・ご報告。
今回もお世話になるのは
昭栄丸さん
内山船長 080-5244-3157
実績高いところ

強気の3号通しで、2号竿。
これでも。
飛ばされ
飛ばされる。。。
数える事4回。
6号でやる方もいるとか・・・
今回は技量が足りず無理。
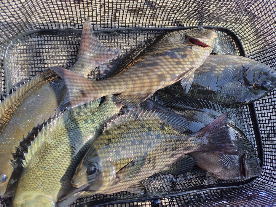
それでもお土産は確保できるポテンシャル

はじめて使いましたが
マルキューのフローティングスカリ
45㎝のキーパーにピッタリで使いやすい。

ぜひ、お試しを😊

ちなみに今回はどぅーも撃沈。
なんとかスマ

黒潮が離れた影響もあるみたいですが・・・
でか尾長シーズンはこれから!
皆さまもぜひ釣行してみてくださ~~い😊